Porzione di bifamiliare in vendita

Cesenatico, Viale Rubicone - Madonnina
€ 425.000
5 locali 5 locali
138 Mq 138 Mq
2 bagni 2 bagni

Porzione di bifamiliare in vendita

Cesenatico, Viale Rubicone - Madonnina

Descrizione annuncio

Porzione di bifamiliare in zona Santa Teresa – Madonnina, Cesenatico

In una delle zone più amate e ricercate di Cesenatico, nel cuore residenziale di Santa Teresa – Madonnina, proponiamo una porzione di bifamiliare che unisce indipendenza, spazio e qualità della vita.

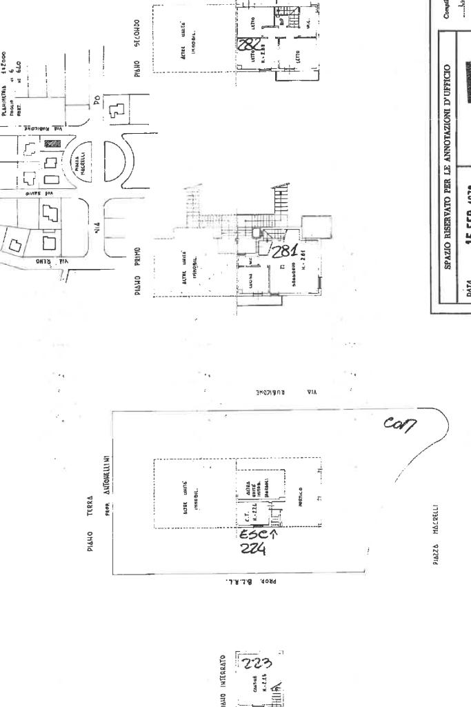
Costruita nel 1975 e ristrutturata internamente nei primi anni 2000, questa casa accoglie con il calore degli ambienti ben curati e la sensazione immediata di solidità e comfort. Si sviluppa su tre livelli e regala spazi generosi, perfetti per una famiglia che desidera vivere ogni ambiente con libertà.

Al piano terra il giardino privato diventa il luogo delle cene estive, dei momenti di relax e del tempo condiviso con chi si ama. Completano il livello il garage e una pratica lavanderia, spazi funzionali che rendono la quotidianità più semplice e organizzata.

Salendo al piano primo, accessibile da scala esterna, si entra nella vera anima della casa: un soggiorno luminoso che invita alla convivialità, una cucina abitabile dove ritrovarsi ogni giorno, un bagno di servizio e un balcone che dona aria e luce agli ambienti, creando una piacevole continuità tra interno ed esterno.

La zona notte, al piano superiore, è pensata per garantire comfort e tranquillità: due camere matrimoniali ampie e accoglienti, una camera singola ideale per figli, studio o ospiti, un comodo bagno finestrato con box doccia e un pratico ripostiglio, oltre anche qui a due balconi spaziosi e vivibili.

Completa la soluzione anche una cantina di proprietà al piano interrato spaziosa e funzionale.

Indipendenza, metrature importanti e posizione strategica in una zona residenziale di qualità rendono questa soluzione perfetta per chi cerca non solo una casa, ma uno spazio in cui costruire ricordi e vivere con serenità tutto l’anno.

PER INFO E PER FISSARE UN APPUNTAMENTO CONTATTACI AL NUMERO 0547/072373

Mostra tutto

Nelle vicinanze

Trasporto pubblico Trasporto pubblico
stazione di Cesenatico
stazione di Cesenatico
300 m
Cesenatico Stazione
Cesenatico Stazione
410 m
Cesenatico Mazzini Cavour
Cesenatico Mazzini Cavour
680 m
Ricariche auto elettriche Ricariche auto elettriche
Cesenatico Carducci | EnelX
1,5 Km
Scuole Scuole
Scuola Primaria "Leonardo Da Vinci"
760 m
Scuole
770 m
Scuola Primaria Statale "A. Manzi"
2,9 Km
Farmacia Farmacia
Farmacia Ioli
620 m
Farmacia
730 m
Farmacia San Pietro
780 m
Parafarmacia internazionale
1,2 Km
Farmacia Ippocampo
1,3 Km
Ospedali Ospedali
CRI Cesenatico
690 m
Ospedale di Cesenatico
2,0 Km
Supermercati Supermercati
Famila
320 m
Eurospin
390 m
Conad
780 m
Crai
2,5 Km
Negozi Negozi
Sandra Shopping
1,2 Km
Street & sport
1,2 Km
Negozi
2,4 Km
Bar Bar
Bar
610 m
Bar Mattira
810 m
Bar dei Pini
1,1 Km
Fuorionda Piadina
1,3 Km
Molo 95
1,4 Km
Ristoranti Ristoranti
Ristorante Pippo
530 m
Scottadito
560 m
nero di seppia
610 m
Ristoranti
630 m
Ristorante Da Giuliano
670 m
Mostra tutto

Caratteristiche

Rif.:
61182326
Piano:
Su più livelli di 3
Totale piani:
3
Box:
1
Balconi:
3
Camere da letto:
3
Mostra tutto
Prezzo Prezzo
€ 425.000
Rata mutuo Rata mutuo
€ 2.019 / mese
Spese annue Spese annue
€ 0
Proponi il tuo prezzoProponi il tuo prezzo

Classe Energetica

Questo immobile è esente da classe energetica
Anno di costruzione:
1975
Riscaldamento:
Autonomo
Tipo impianto:
A radiatori
Tipo alimentazione:
Metano

Ti interessa visionare l'immobile?

Fissa un appuntamento  Fissa un appuntamento

Richiedi informazioni

Clicca su Leggi per aprire l'informativa
* Questi campi sono obbligatori

Calcola il tuo mutuo

Semplice e senza impegno
Anticipo

( % )
Mutuo

( % )

pochi semplici passi

inserisci i tuoi dati
Questionario completato
Grazie per aver richiesto un appuntamento senza impegno con un nostro Consulente del Credito e Assicurativo.

Hai inserito correttamente tutti i dati necessari e a breve riceverai una e-mail con un link da convalidare per inviare i tuoi dati.
Affiliato
Cesenatico Ponente Srl
Viale Giuseppe Mazzini, 119/G 47042 Cesenatico (FC)
Viale Giuseppe Mazzini, 119/G 47042 Cesenatico (FC)
Zona: Cesenatico Ponente-Madonnina-Borella-Villalta-Bagnarola-Sala-Cannucceto-Zadina
Mostra su mappa
Orari: Dal Lunedì al Venerdì dalle ore 09.00 alle 13.00 e dalle 15.00 alle 19.30. Il sabato dalle 09.00 alle 13.00 e dalle 15.00 alle 18.00. Domenica su appuntamento
Affiliato
Cesenatico Ponente Srl
Viale Giuseppe Mazzini, 119/G 47042 Cesenatico (FC)

2026 Tecnocasa Franchising S.p.A. - P. IVA 08365160152 - Via Monte Bianco 60/A 20089 Rozzano (MI). Ogni agenzia ha un proprio titolare ed è autonoma. Privacy policy | Policy utilizzo | Cookie policy